ForumNSR
Breadcrumbs

Version 2023-07


Versionsnummer

2023-07

Releasedatum

 

In den nachfolgenden Abschnitten werden die wichtigsten Neuerungen und Anpassungen in ForumNSR Version 2023-07 beschrieben.

Wie Sie an ein Update zu ForumNSR gelangen.

Der verantwortliche Ansprechpartner in Ihrem Unternehmen wird per E-Mail informiert. In dieser E-Mail stellen wir das Update per Link zum Download zur Verfügung.

Falls Ihnen das Update nicht zur Verfügung steht, wenden Sie sich bitte an unseren There were errors rendering macro: An unknown error occurred.


Verbesserung in ForumNSR

Massenlöschung

Werden nach einem Vorschlagsupdate in einem Standard in ForumNSR Objekte über die Massenlöschung angeboten, können erfasste Risiken, Aufgaben und Workflows zu den enfallenen Objekten ebenfalls mit gelöscht werden.

Die Checkbox ist standardmäßig aktiviert.


image-2023-7-11_15-8-48.png

Abbuldung: Erfasste Risiken, Aufgaben und Workflows zu entfallenen Objekten ebenfalls löschen


Neue Funktionen und Verbesserungen in der ForumSuite 2023-07

Allgemein

Verbesserung des Workflow-Cockpits

Unter Verwaltung > Workflows stehen nun für die verschiedenen Workflow-Ansichten PDF- und CSV-Exporte zur Verfügung, welche über das Extras-Menü abgerufen werden können.

In den einzelnen Ansichten kann nun innerhalb der einzelnen Spalten die Suchfunktion genutzt werden. Es ist möglich, das Datum der Fälligkeit nach einem bestimmten Zeitraum zu filtern.

image-2023-7-11_15-30-21.png

Abbildung: Exportmöglichkeiten für die Workflow-Ansichten

In der Ansicht der Abgeschlossenen Workflows wird das Ergebnis anhand anschaulicher Icons dargestellt. 

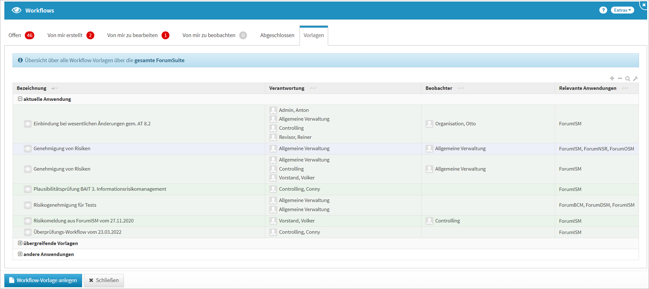
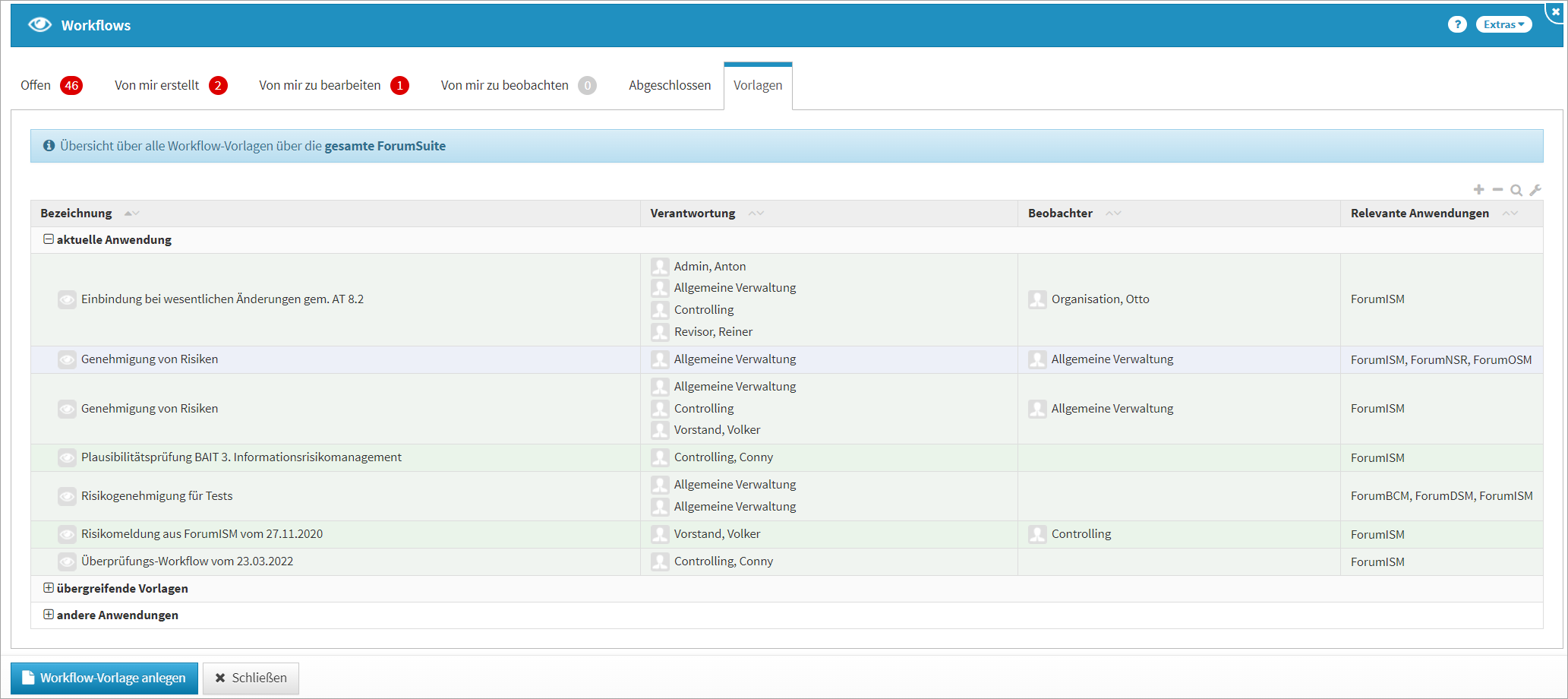
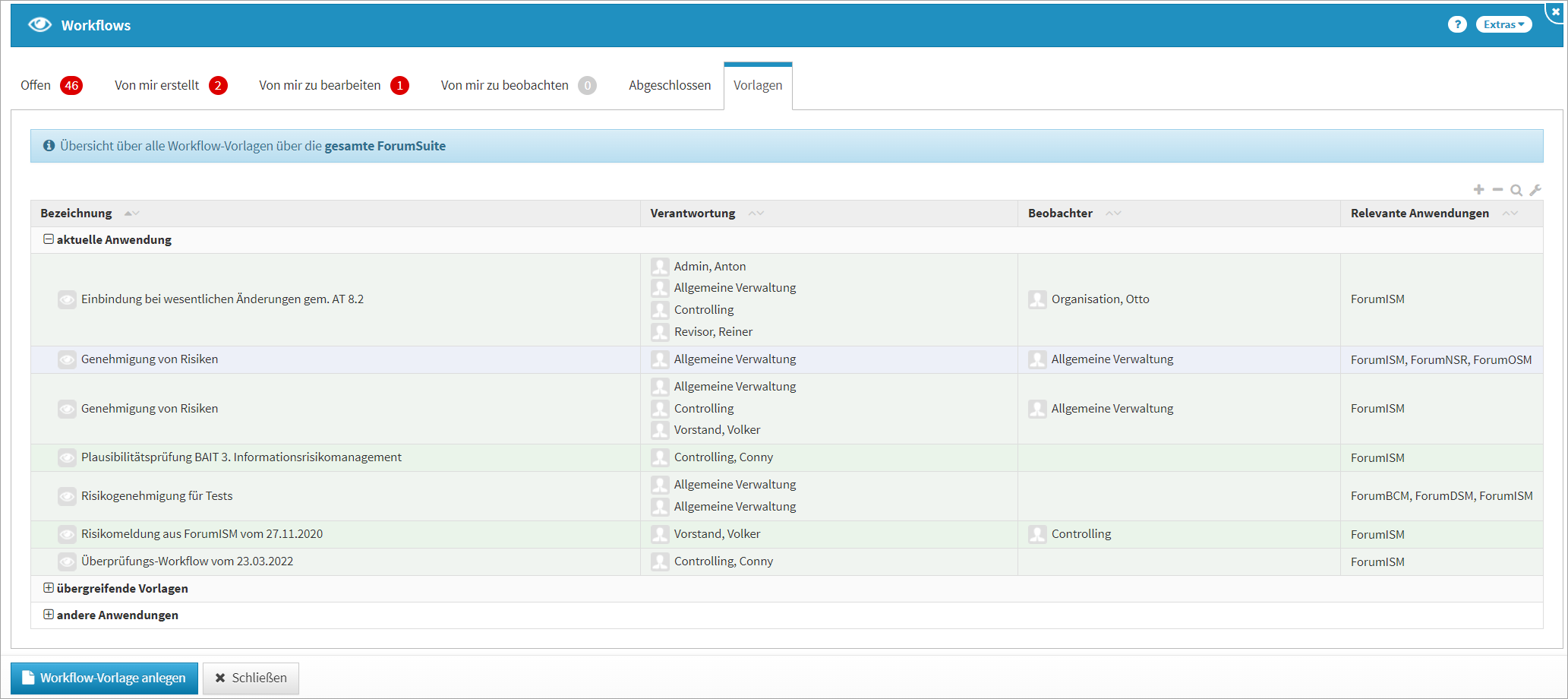
In der Ansicht Workflow-Vorlagen kann außerdem mit ein-/ausklappbaren Kategorien gearbeitet werden, um die Übersichtlichkeit zu verbessern.

image-2023-7-11_15-47-31.png

Abbildung: Ansicht "Workflow-Vorlagen"

Änderungshistorie: Anzeige des Status und der Freigabe des Objektes

In der Änderungshistorie eines Objektes kann man nun in der zusätzlichen Spalte "Status" erkennen, welche Version Freigegeben ist oder "nur" den Status In Bearbeitung wiedergibt.

Freigegebene Versionen werden dabei mit einem grünen Häkchen gekennzeichnet.

image-2023-7-12_14-50-55.png

Abbildung: Änderungshistorie: Anzeige Status

Darstellung der Organisationen

In der Übersicht der Orga-Einheiten werden übergeordnete Einheiten nun mit Symbol angezeigt. Die Hierarchie ist somit besser erkennbar.

image-2023-7-20_14-30-17.png

Abbildung: Darstellungen der Organisationen

Kopieren von Risiken

Beim Kopieren von Risiken werden die Verantwortlichen nicht mehr mit übernommen.

IBM/HCL Domino Plattform

Neue und geänderte Funktionen, die nur die HCL Domino Plattform betreffen.

  • keine

Java Plattform

Neue und geänderte Funktionen, die nur die Java Plattform betreffen.

  • keine

Fehlerbehebungen in ForumNSR

  • Ein Fehler bei der Übernahme des Umsetzungsverantwortlichen an die Sicherheitsmaßnahmen wurde behoben.  Leere Umsetzung von Maßnahmen werden als „unbearbeitet“ angezeigt.

  • In Kapiteln wurde die Relevanz (Optionsfeld) in der Vergleichsansicht der Historischen Ansicht nicht korrekt dargestellt. Dieser Fehler wurde behoben.

  • Der Umsetzungsstatus ist für Statusanzeige organisationsspezifischer Themen mit Referenzen wurde von „unbearbeitet“ in „(nicht bearbeitbar)“ geändert. Gilt nur im  im Standard Bankindividueller SiMaKat (BASI).

Fehlerbehebungen in der ForumSuite 2023-07

Allgemein

  • Ein Problem in Zusammenhang mit der Übernahme von RichText-Inhalten aus Workflow-Vorlagen wurde behoben.

  • Ein Fehler beim Aufruf des Workflow-Panels, welcher zum Absturz des Frontends führte, wurde behoben.

  • Einem abgelehnten Workflow mit dem Ergebnis „abgelehnt“ kann über die Schaltfläche Ablehnung zurückziehen die Ablehnung entzogen werden.

  • Die Anlage von Verknüpfungen, Aufgaben, Workflows bzw. ggf. Neuanlagen an archivierten Objekten ist nicht mehr möglich.

  • Die Einstellungen zur Business Impact Analyse dürfen nur mit passenden Zugriffsrechten geändert werden.

  • Im HTML-Editor der Richtext-Felder wurden Darstellungsprobleme bzgl. Untermenüs zur Formatierung korrigiert.

  • Der Menüeinstieg "Externe Kennung..." ist an archivierten Objekten sichtbar.

PDF-Ausgabe

  • keine

IBM/HCL Domino Plattform

  • Ein Problem bei der Migration der Notes-Version von ForumISMund ForumBCM 1.x wurde behoben.

Java Plattform

  • keine